症例写真

症例写真

埋没法とたるみ取りで目元をスッキリ

施術内容
二重術(埋没法):マイクロメソッド+α+眉下切開法(眉下リフト)

上瞼の皮膚のかぶさりとまつ毛の際が見えにくいことが主訴の患者様。外側メインの皮膚のかぶさりを自覚する方には眉下リフト、まつ毛の際の被さりには二重施術の非常に良い適応です。

二重術(埋没法):マイクロメソッド+α+眉下切開法(眉下リフト)_Before
Before
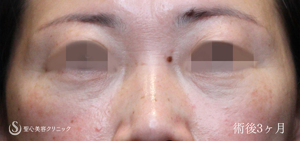
二重術(埋没法):マイクロメソッド+α+眉下切開法(眉下リフト)_After
After(術後2ヶ月)
余剰皮膚を眉毛下で切除し、眼輪筋のタッキングで仕上げています。また、二重埋没法により、まつ毛の際もみえやすくなっており、窪み目も自然に改善しています。また、写っていませんが、おでこのシワも顕著に改善しています。眉毛の下の傷口はお化粧するとほとんど目立ちません。2ヶ月ですとまだ少し赤みの残る時期。3ヶ月程度でわからなくなります。
二重施術には埋没法と切開法がありますが、眉下リフトと一緒に行う場合は、変化するパラメーターが多くなるため埋没法をオススメしています。お目元のアンチエイジングでお悩みの方は、ぜひ一度ご相談ください。
私のオフィシャルブログ、インスタグラムもあわせてご参考ください。
https://ameblo.jp/seishin-kawabatahttps://www.instagram.com/seishin_kawabata/
銀座院 横浜院医師
銀座院 横浜院医師
川端 優也 医師

二重術(埋没法):マイクロメソッド+α

処置方法 ブジーシミュレーションした希望のラインに沿って、特殊な専用の極細糸で数点で固定し、重瞼を作成する。
リスク・副作用 術後の腫れ、痛み、内出血、左右差、後戻り、シスト形成、異物感、ドライアイ症状、眼瞼痙攣。
費用 185,000円

眉下切開法(眉下リフト)

処置方法 デザインに沿って皮膚切除。場合によって眼輪筋切除や、皮下剥離などの処理を行う。非吸収糸で形態を調節しながら皮下、皮膚を縫合する。
リスク・副作用 術後の浮腫、痛み、内出血、血腫、シスト形成、肥厚性瘢痕、眉毛変形、引き攣れ、閉瞼障害、二重の消失、変形。
費用 350,000円

合計金額/535,000円(588,500円)

※()内は税込みの金額です。

※料金、リスク・副作用、施術内容は登録時点での情報となります。最新の情報はクリニックへお問い合わせください。

「二重術(埋没法):マイクロメソッド+α」を
もっと知りたい方はこちら